Daten
- Objekt-Nr.4394
- OrtTönisvorst
- ObjektartGrundstück
- Grundstück818.00 m²
Kosten
- KaufpreisImmobilie ist verkauft!
Käuferprovision: Der guten Ordnung halber möchten wir darauf aufmerksam machen, dass bei Abschluss eines notariellen Kaufvertrages, der durch unseren Nachweis und/oder Vermittlung zustande kommt, der Käufer an uns eine Maklerprovision von 2,38 % zu zahlen hat. In der Maklerprovision ist die gesetzliche MwSt. von 19% enthalten.
Objekt
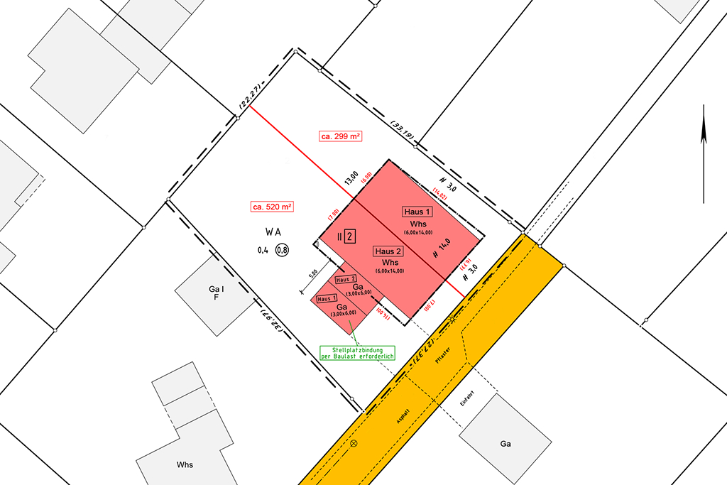
Attraktives Baugrundstück in ruhiger Sackgassenendlage von Tönisvorst / St. Tönis
Hier bietet sich Ihnen eine seltene Gelegenheit:
Zum Verkauf steht ein großzügiges Baugrundstück mit ca. 818 m² Fläche in einer ruhigen, familienfreundlichen Wohnlage von Tönisvorst.
Das Grundstück befindet sich in einer Sackgassenendlage einer reinen Anwohnerstraße – ideal für alle, die Wert auf Ruhe, Sicherheit und ein angenehmes Wohnumfeld legen.
Das Baufenster ist 13 m breit und 14 m tief.
Das an zwei Seiten von einer Hecke eingefasste Grundstück ist momentan nur mit einer Gartenhütte bebaut und mit altem Gehölzbestand bepflanzt.
Die Bebauung ist vielseitig möglich:
Je nach Planung kann hier ein Einfamilienhaus in 1,5-geschossiger Bauweise, ein Bungalow oder ein Doppelhaus entstehen.
Möchten Sie gemeinsam mit Freunden oder Verwandten bauen?
Die Teilung des Grundstücks ist bereits geplant und vorbereitet!
In diesem Fall können die Teilflächen einzeln erworben werden – die Bebauung ist dann jeweils mit einer Doppelhaushälfte zulässig.
Die Umgebung ist geprägt von gepflegten Einfamilienhäusern, großzügigen Gärten und viel Grün. Einkaufsmöglichkeiten, Schulen, Kindergärten sowie öffentliche Verkehrsmittel sind in wenigen Minuten erreichbar.
Das Naherholungsgebiet "Forstwald" gehört zu den größten Waldgebieten der Stadt Krefeld und ist fußläufig, mit dem Fahrrad oder Auto erreichbar und bietet sich für ausgedehnte Spaziergänge oder Joggingrunden im Grünen an.
Fazit:
Ob als großzügiges Einfamilienhausgrundstück oder geteilt für zwei Doppelhaushälften – dieses Grundstück bietet ideale Voraussetzungen für individuelles Wohnen in bester Lage von Tönisvorst.
Ausstattung
- Grundstücksgröße: ca. 818 m²
- Teilbar – bei Teilung Bebauung mit je einer Doppelhaushälfte möglich
- 1,5-geschossige Bebauung
- GRZ 0,4
- GFZ 0,8
- ca. 654 m² max. Wohnfläche (brutto)
- Wandhöhe max. 4,00 m; bei Energie-plus-Haus max. 5,00m
- Ruhige Sackgassenendlage
- Reine Anwohnerstraße, nette Nachbarschaft
- Flexible Bebauungsmöglichkeiten (Einfamilienhaus, Doppelhaus, Bungalow)
- Familienfreundliche, gewachsene Wohnlage
- Gute Infrastruktur in Tönisvorst
Sonstige Angaben
Da es sich um ein reines Grundstücksangebot handelt, ist kein Energieausweis vorhanden.
Schreurs Immobilien – Ihr Immobilienmakler in Krefeld und am Niederrhein für Vermietung und Verkauf.
Bitte beachten Sie, dass wir für eine schnellere Bearbeitung ein vollständig ausgefülltes Kontaktformular inkl. Ihrer Adressangabe sowie Ihrer Rufnummer benötigen. Unvollständige Kontaktangaben können von uns leider nicht bearbeitet werden.
Grundrisse
Energieausweis
Der Energieausweis für diese Immobilie ist beantragt und liegt zur Besichtigung vor.
Lage
Tönisvorst ist eine charmante Kleinstadt im Westen von Düsseldorf mit ca. 30.000 Einwohnern, bestehend aus den zwei Ortsteilen Vorst und St. Tönis. Eingebettet in die typisch niederrheinische Landschaft, vereint sie die Vorteile des ländlichen Lebensraums mit der Nähe zu den umgebenden Großstädten.
Die Stadt bietet neben Ausflugs- und Freizeitmöglichkeiten in der Umgebung auch zahlreiche Sportangebote auf Sportanlagen und in den Hallen der Sportvereine sowie in dem bekannten Sport- und Freizeitbad H2 0h.
Die gesundheitliche Versorgung ist durch ein medizinisches Versorgungszentrum gesichert.
Die Stadt Tönisvorst hat diverse Kindertagesstätten und Grundschulen, eine Sekundarschule und ein Gymnasium.
Für die Dinge des täglichen Bedarfs erreicht man das Zentrum von St. Tönis in wenigen Minuten mit dem Fahrrad oder dem Bürgerbus.
Der nächste Supermarkt liegt in fußläufiger Entfernung.
Restaurants und Cafés, Lebensmittel- und Fachgeschäfte sind im direkten Umkreis und in der Fußgängerzone zu finden.
Von St. Tönis nach Krefeld fährt die Linie 41 der Straßenbahn.
Mit dem Auto erreicht man in ca. 10 Min. die Autobahnen A 40, A 52 und A 44. In die Düsseldorfer Innenstadt oder zum Flughafen Düsseldorf sind es weniger als 30 Min.
Umberto Santoriello



Drucken | Immobilie teilen